Direct Line For You
(+30) 210 6927031
,
(+30) 694 7437496
Email Us
info@golden-panorama.estate
Toggle navigation
About us  
About Us
Services
For Sale  
Properties For Sale
Commercial For Sale
Land For Sale
Other properties For Sale
For Rent  
Properties For Rent
Commercial For Rent
Land For Rent
Other properties For Rent
Choices  
Recently Listed
Luxury
Investment
With a reduced price
Featured Properties
For Students
Assign Form
Request Form
Contact Us
(For Sale) Land Plot || West Attica/Ano Liosia - 611 Sq.m, 100.000€
Details
Building Year:
SD:
SK:
Land Usage:
City Plan:
Additional Features
Frontage
On Corner
Description
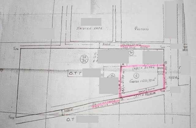
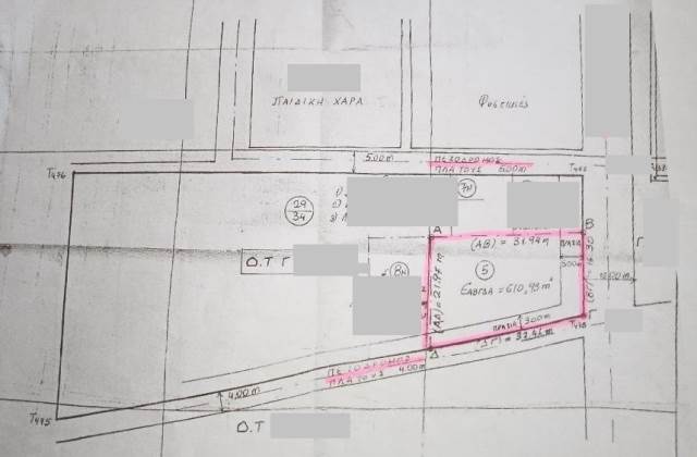
Ano Liosia, Center, Plot For Sale, 611 sq.m., Features: Roadside, On Corner, Price: 100.000€. Golden Panorama Estate, Tel: 2106927031, email: info@golden-panorama.estate
Additional Information
It is not available
Map
Points of Interest
Distance from:
Property's Statistics
Published date:
25 Jun, 2025
Update date:
18 Oct, 2025
Total visitors:
I am Interested
Socialize it
Loan
Print a Brochure
I am Interested for this Property
Please, fill in the form and then Click the Send button. Fields marked with
*
are mandatory fields
*
Required Field
Required Field
*
Required Field
I Found a property in, Golden Panorama Estate, with the following description:(For Sale) Land Plot || West Attica/Ano Liosia - 611 Sq.m, 100.000€, ID26761, e-agentsID: 1831290 Real Estate Office: Golden Panorama Estate and I am, really, interested for it. Please, come in contact with me in order to give me more details.
Required Field
I agree, this website to keep and use my contact details for future communication
Send it, also, to my e-mail
Type the code
Send
Publish property to facebook
Spread property on twitter
Publish property to google+
Upload property to pinterest
Send to a friend
Please, fill in the form and then Click the Send button. Fields marked with
*
are mandatory fields
*
Required Field
*
Required Field
*
Required Field
Required Field
I agree, this website to keep and use my contact details for future communication
Send it, also, to my e-mail
Type the code
Send
Loan calculator
Fill the rate (without % symbol} and Repayment period in years. If you wish, you can change the amount.
Amount
Rate
(%)
Repayment period
(years)
Monthly installment
Total amount
Total Interest
Features
Area
Ano Liosia (Fyli)
Subarea
Center
Category
Land
Type
Plot
Price
100,000€
Sq.m
611
Price/Sq.m
164€
Code
26761
e-agentsID
1831290
Contact Us
Andrea Moustoxidi 13
11473 Athens
(+30) 210 6927031
(+30) 694 7437496
info@golden-panorama.estate
Locate our office on the map
Golden Panorama Estate
Andrea Moustoxidi 13, 11473 Athens
(+30) 210 6927031,
(+30) 694 7437496
info@golden-panorama.estate
Currency
Andrea Moustoxidi 13
11473 Athens
(+30) 210 6927031
(+30) 694 7437496
info@golden-panorama.estate
Locate our office on the map
Golden Panorama Estate
Andrea Moustoxidi 13, 11473 Athens
(+30) 210 6927031,
(+30) 694 7437496
info@golden-panorama.estate
(For Sale) Land Plot || West Attica/Ano Liosia - 611 Sq.m, 100.000€
Features
Building Year:
SD:
SK:
Land Usage:
City Plan:
Area:
Ano Liosia (Fyli)
Subarea:
Center
Category:
Land
Type:
Plot
Price:
100,000€
Sq.m:
611
Price/Sq.m
164€
Bedrooms:
Bathrooms:
Floor:
Code:
26761
e-agentsID:
1831290
Additional Features
Frontage
On Corner
Description
Ano Liosia, Center, Plot For Sale, 611 sq.m., Features: Roadside, On Corner, Price: 100.000€. Golden Panorama Estate, Tel: 2106927031, email: info@golden-panorama.estate
Property's Statistics
Published date:
25 Jun, 2025
Update date:
18 Oct, 2025
Total visitors: